Today we arrived at one of the most magical places on the trip, Coiba Island National Park in Panama. It is the second largest coral reef in the tropical eastern Pacific, just after Galápagos, comprising hundreds of amazing white sandy beaches and lush rain forest islands.
Our first outing of the day off National Geographic Sea Lion was to a little gem called Granito de Oro which translates to “little nugget of gold.” It was one of the those islands that will leave an imprint in your mind forever; the whitest soft sand on your feet and literally four four coconut palms and millions of hermit crabs running up and down the island, carrying their houses with them. The waters that bathe the island are crystal clear, allowing us to view the most beautiful and rainbow-colored fish on the reef.
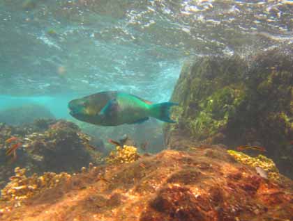
The life under the water was beautiful and alive. Warm clear water filled with so many kinds of fish, like the bicolored parrotfish with its strong beak for munching rocks and coral, creating new sand. Beautiful long slender needle-shaped fish, the reef cornets, the Cortez angelfish, and many little jelly fish…. that had a friendly hello. The coral reef is full of so much life, hundreds of organisms ranging from sharks to turtles, from sea urchins to rays, from sea anemones to coral polyps. Everyone seems to have enjoyed the morning either by snorkeling or kayaking or just chilling.
We headed back to the ship for lunch and the vessel repositioned to another island from Coiba National Park, Canal de Afuera. It’s another amazing island, just perfect for the front page of any tropical paradise brochure. We couldn’t resist the clear waters so we geared up and snorkeled over the reef. The sandy beach invited us to kick back on a beach chair with a book.
It was our last day in Panama. We didn’t want to leave but our voyage had to continue. Our minds will be loaded of precious memories of this hidden paradise.







